Toggle navigation
Accueil
C'est quoi l'Attribut ?
On vient d'où et on va où ?
Ca marche comment ?
Lieux
L'Idée Halle
Le bureau
La Frip'Idée Halle
Cercles
Collectif Actif
Bibliothèque
Travaux
Epicerie et Marché
Friperie
Administration
Vélo
Communication
Café de la halle
Potager
Programmation
Récups
Athis : Le jardin des marguerites
Ressourcerie Evry-Courcouronnes
Ressourcerie générale
Ressourcerie Corbeil-Essonnes
Répare Café
Répare Couture
Evènements ponctuels
Vivre Ensemble
Cercle RH
Annuaire
Annuaire interne
S'enregistrer
Agenda
Framadate Ressourcerie de Corbeil
Collectif Actif
Bloc note ODJ CA
Mémo des outils
Aide pour l'édition
Aide
Bac à sable
Rechercher
×
Se connecter
×
Se connecter
Mot de passe perdu ?
Se souvenir de moi
S'inscrire
Aide
Gestion du site
Tableau de bord
Base de donn?es
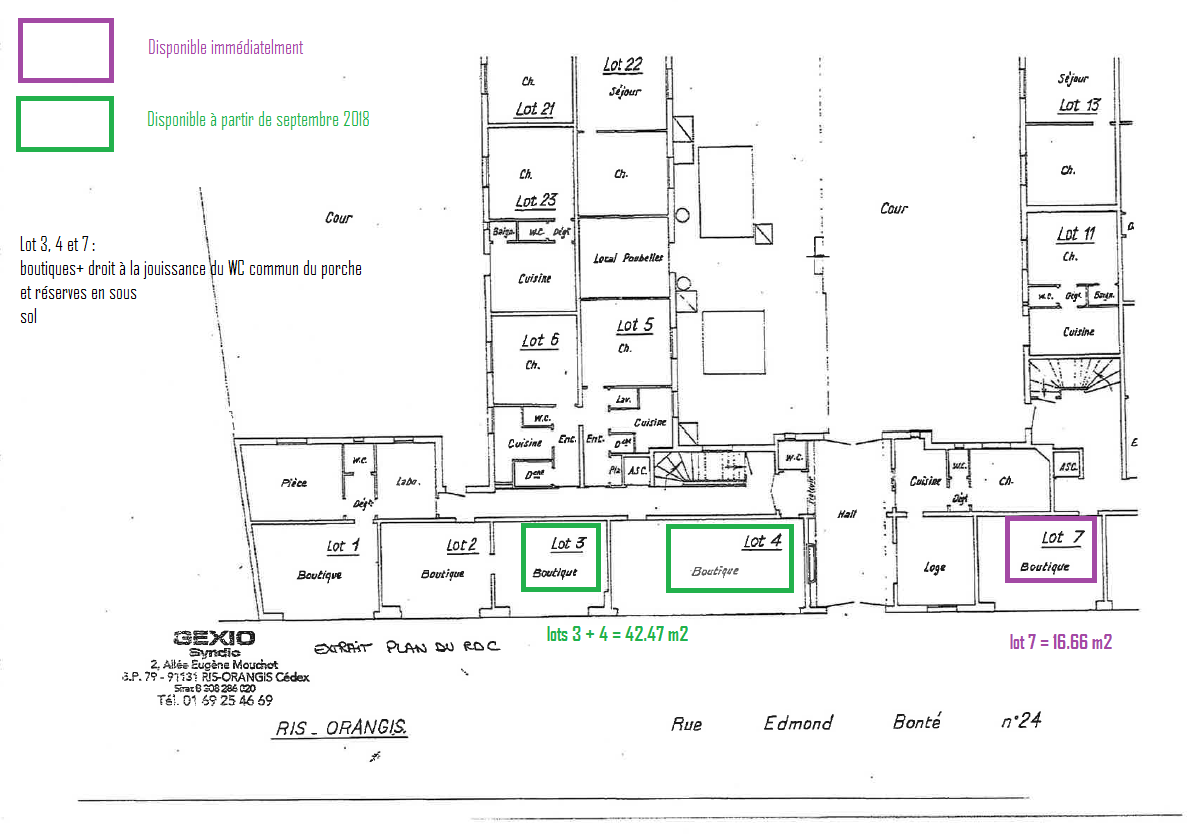
Les Boutiques
Infos supplémentaires de la Mairie (Mme Deleuze) :
"il est possible d'organiser des visites dès à présent du lot 7 (les lots 3 et 4 n'étant pas encore libérés)"
"existence de raccordement" (eau et élec)